492'000
CHF
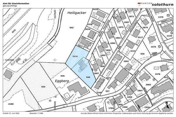
Rarität in Bettlach
Hofergässli, 2544 Bettlach
- Array
- Objekttyp Bauland
?Rarität in Bettlach: Flaches Traumgrundstück in steuergünstiger Bestlage? Seltene Gelegenheit: Ih…































































































