1'050
CHF
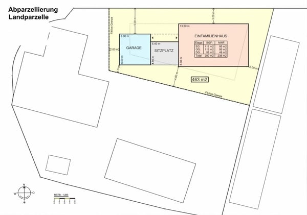
Erfüllen Sie sich Ihren Traum: Bauland …
Kirchstrasse 4, 8574 Oberhofen TG
- Array
- Type d'objet Plot, Terrain constructible
Attraktives Bauland in Oberhofen - Ihre Chance auf das eigene Traumhaus Dieses attraktive Bauland i…
























































